Météo-France
Comment interpréter une image radar ?
29/10/2025Pour obtenir une vue d’ensemble des phénomènes météo, des dizaines de satellites observent la Terre, et des radars météorologiques permettent notamment de localiser les précipitations. Météo-France dispose d’un réseau d’environ 40 radars répartis sur l’Hexagone et en Outre-mer. Ils mesurent l’intensité des précipitations en temps réel. Pour interpréter ces images, une expertise humaine est nécessaire : celle des prévisionnistes.
Qu’est-ce qu’un radar ?
Un radar (RAdio Detection And Ranging) est principalement constitué d’un émetteur (qui va générer un signal, une impulsion haute fréquence), d’une antenne (qui va transmettre ce signal dans l'espace et recevoir simultanément ses échos), d’un récepteur (qui va amplifier le signal renvoyé) et d’un système d'affichage (qui va permettre le traitement et l’interprétation des résultats).

Le radar hydrométéorologique de Météo-France installé au sommet du Moucherotte (Vercors) à 1901 mètres d'altitude. Crédit : @nbohere via @Infoclimat
Les radars météorologiques ont une portée d'environ 100 km pour la mesure et de 150 à 200 km pour la détection des phénomènes dangereux. Les prévisionnistes disposent d'images radar toutes les 5 minutes.
À quoi sert une image radar ?
Les images radar permettent d’appréhender les enveloppes de précipitations liées aux différents systèmes météorologiques (perturbations, orages, lignes de grains, cyclones…), d’en mesurer leur intensité, leur structure, leur déplacement et leur développement, en complément des données satellites, des données des modèles numériques et des observations des stations au sol.
Le code couleurs des images radar
Les images radar servent à visualiser les zones de précipitations en temps réel. Une animation de ces images sur une période donnée permet au prévisionniste de visualiser le déplacement des zones de précipitations, de cerner le développement et l’intensification d’un phénomène météorologique, la nature et l’état des précipitations (bruine, pluie, neige, grêle).
Sur une image radar, l'intensité des précipitations est associée à une couleur correspondant à des millimètres d'eau par heure. Un millimètre d'eau égale un litre par mètre carré.

Une bande de précipitations est généralement de couleur bleue et verte. Dans un front pluvio-instable (c’est-à-dire une perturbation pluvieuse et orageuse) ou un ciel de traîne, on observe des petites taches d'intensité supérieure (vert foncé, jaune, orange ou rouge). Ces tâches mettent en évidence les zones de forte intensité pluvieuse. Le rouge peut laisser supposer des précipitations sous forme de grêle.
Quelques exemples d’images radar
Ligne de grain
Une ligne de grain est une zone d'orages (plusieurs cellules) organisés en ligne, et pouvant s'étendre sur des dizaines de kilomètres.

Fig 1 : image radar orages 28 août 2025 à 17h30 UTC - Crédit : Météo-France
Lire aussi : L’orage supercellulaire ou supercellule
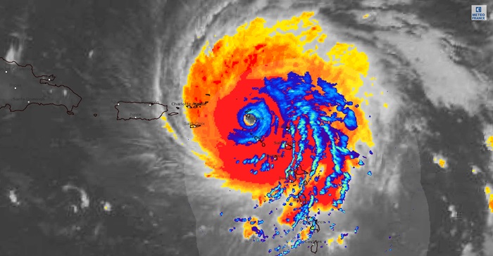
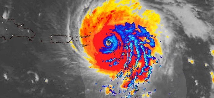
Cyclone Irma

Fig 2 : image radar superposée à une image satellite infrarouge 6 septembre 2017 - Crédit : Météo-France
Lire aussi : Qu'est ce qu'un cyclone ?
Episode méditerranéen

Fig 3 : image radar 18 octobre 2023 18h UTC - Crédit : Météo-France
Lire aussi : Qu’est-ce qu’un épisode méditerranéen ?
> CONSULTEZ L'ANIMATION RADAR DU JOUR
>> OBSERVATIONS RADAR également sur le portail de données publiques de Météo-France