L'atmosphère

La planète Terre est entourée de plusieurs couches gazeuses qui constituent l'atmosphère. L'essentiel des phénomènes météo se produisent dans la plus basse et la plus chaude, la troposphère. Au-dessus, se situent la stratosphère, la mésosphère, la thermosphère. L'atmosphère protège la Terre des rayonnements du Soleil (les UV). On y trouve également des phénomènes qui influencent beaucoup la météo, comme le courant jet ou le vortex polaire.

Découvrez tous nos articles en lien avec l'atmosphère et les bases de la prévision météo.

Atmosphère

Météo-France

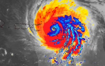
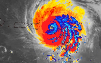
Comment lire une image satellite ?

22/12/2025

Grâce à leurs instruments embarqués (imageur, sondeur ou radar), les satellites météorologiques surveillent une multitude de paramètres depuis l’espace. Les données satellitaires traitées par le Centre de météorologie spatiale (CMS) de Météo-France alimentent les modèles de prévision numérique du temps. Ces images sont cruciales pour les prévisionnistes et les climatologues. Les images satellite sont constituées de plusieurs canaux, notamment des canaux visibles et infrarouges. En combinant plusieurs canaux, on obtient ce que l’on appelle une image en composition colorée.

Atmosphère

Météo-France

Comment interpréter une image radar ?

29/10/2025

Pour obtenir une vue d’ensemble des phénomènes météo, des dizaines de satellites observent la Terre, et des radars météorologiques permettent notamment de localiser les précipitations. Météo-France dispose d’un réseau d’environ 40 radars répartis sur l’Hexagone et en Outre-mer. Ils mesurent l’intensité des précipitations en temps réel. Pour interpréter ces images, une expertise humaine est nécessaire : celle des prévisionnistes.

Atmosphère

© Eddy Duluc - Météo-France

Qu’est-ce que la pression atmosphérique ?

15/02/2024

Le poids de l'air exerce une force sur la surface de la Terre, c'est la pression atmosphérique. Ainsi une colonne d'air d’un m2, qui part du sommet de l'atmosphère jusqu'au sol, a une masse de l’ordre de 10 000 kg ! Ce poids de l’air au-dessus de nous influence les phénomènes météorologiques tels que le vent, les précipitations et la formation des systèmes météorologiques. Surveiller les variations de la pression atmosphérique est essentiel pour comprendre et prédire le temps.

Atmosphère

GettyImages

Pollution de l’air, quel rôle joue la météo ?

08/01/2025

Les conditions météorologiques jouent un double rôle dans la pollution de l’air. Elles peuvent favoriser le transport des polluants primaires (issus du trafic routier, de l’industrie, du chauffage ou de l’agriculture, etc.) émis dans l’atmosphère. Elles peuvent aussi être à l’origine de la formation de polluants secondaires (tels que l’ozone). Ces polluants secondaires ne sont pas directement rejetés dans l’atmosphère, mais ils proviennent des réactions chimiques des gaz atmosphériques entre eux.